© 2026 SVET24, informativne vsebine d.o.o. - Vse pravice pridržane.
Javna dražba
Čas branja 3 min.

Ravne na Koroškem: Do parcele za hišo že za 14 tisoč evrov


STA
R.M.
28. 10. 2025, 14.41
Deli članek
Facebook
Kopiraj povezavo
Povezava je kopirana!
Deli
Velikost pisave
Manjša
Večja

Občina Ravne na Koroškem bo na dražbi prodajala 22 parcel za gradnjo stanovanjskih hiš v novem ravenskem naselju Čečovje jug.

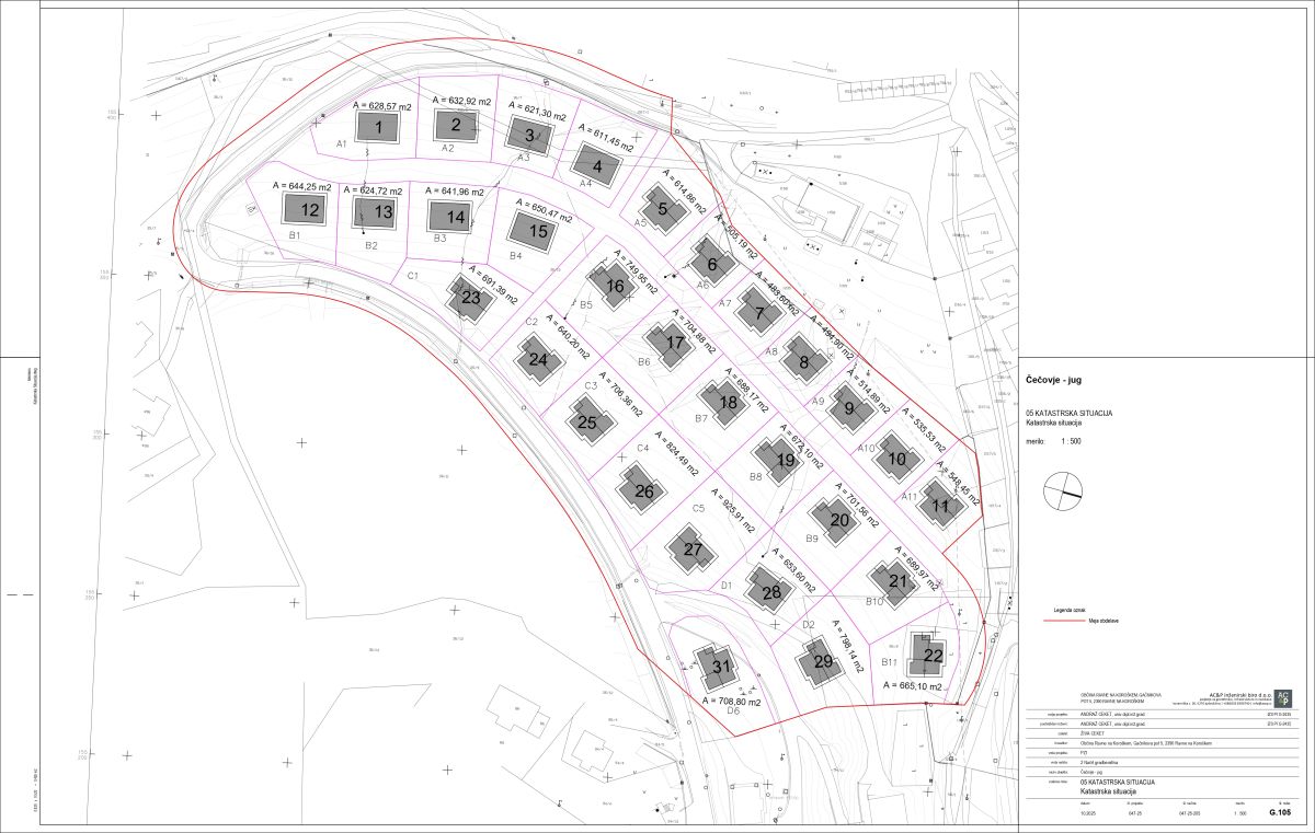
ravne.jpg
Občina Ravne na Koroškem
Na Ravnah na Koroškem nastaja novo naselje Čečovje jug.

Za območje Čečovje jug, ki se nahaja na obrobju mesta, a nedaleč od novega vrtca, osnovne šole, športnega parka, srednješolskega centra, knjižnice in parka, je Občina Ravne na Koroškem pred nekaj leti stanovanjske načrte za mlade družine snovala skupaj z inštitutom Back to the village. Ti načrti niso obrodili sadov, občina pa je projekt na tem območju zdaj sama pripeljala do izvedbene faze.

Na svoji spletni strani je v ponedeljek objavila napoved in podrobne pogoje javne dražbe, ki bo 2. decembra v večnamenski dvorani v Kotljah. Na dražbi bo občina prodajala 22 gradbenih parcel v velikosti posamezne od okoli 500 do dobrih 900 kvadratnih metrov. Vsi, ki želijo sodelovati na dražbi, morajo do 24. novembra do 10. ure vplačati varščino, do 28. novembra do 10. ure pa se morajo tudi prijaviti k dražbi.

Nizka cena parcel, pregrešno draga komunala

Izklicna cena je določena pri 29 evrih brez DDV za kvadratni meter zemljišča, kar pomeni, da je izklicna cena za posamezno parcelo od 14.000 do okoli 27.000 evrov. Za razmeroma nizko izklicno ceno zemljišča so se na občini odločili zato, ker bo komunalni prispevek, ki ga bo prav tako moral poravnati kupec posamezne parcele, višji kot običajno.

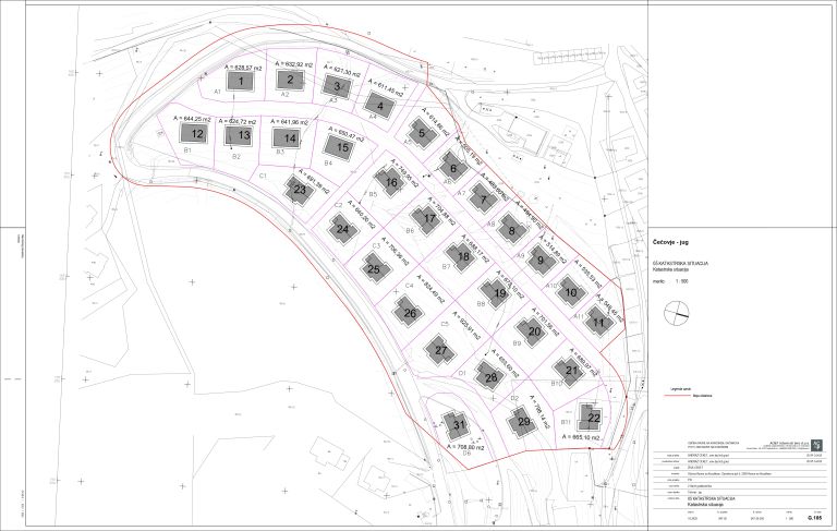
skica cecovje jug.jpg
Občina Ravne na Koroškem
Skica novega naselja Čečovje jug.

Višji bo zato, ker bo razmeroma visok strošek predstavljala komunalna ureditev območja, je na današnji novinarski konferenci povedal ravenski župan Tomaž Rožen. Akontacija komunalnega prispevka je določena v višini 35.000 evrov, na občini pa ocenjujejo, da bo ta na koncu znašal od 40.000 do 50.000 evrov na parcelo. Za primerjavo, na drugih stanovanjskih območjih v občini je bil komunalni prispevek v zadnjem obdobju nekje od 12.000 do 20.000 evrov za parcelo.

Preberite še

Prve hiše morda že jeseni 2026

Občina je že pristopila k prvim aktivnostim za celovito komunalno ureditev dobre tri hektarje velikega območja, ki je nekoliko hribovito in bo urejeno v treh ravneh. Urejanje bo nekoliko zahtevnejše zaradi posebnosti območja, v globini katerega so po izvedeni študiji in enoletnih meritvah večje količine vode. Območje bodo glede na podano tehnično rešitev pooblaščenega projektanta izsušili in nato tam zgradili cestno in komunalno infrastrukturo ter elektro in telekomunikacijsko omrežje, je pojasnil župan.

Komunalno urejanje bo končano prihodnje leto, prve hiše pa bi lahko bile postavljene morda že v jeseni prihodnje leto. Kupci bodo morali z deli začeti v dveh letih od končane komunalne ureditve, gradnjo hiš pa do tretje gradbene faze zaključiti v petih letih od sklenitve prodajne pogodbe.

Na javni dražbi parcel bodo lahko sodelovale izključno fizične osebe, ki z nakupom rešujejo svoje stanovanjsko vprašanje, zato na dražbi ne morejo sodelovati osebe, ki so zavezanci za plačilo davka od premoženja, ki imajo lastninsko pravico na več kot eni stanovanjski nepremičnini ali imajo stanovanjsko nepremičnino, katere neto tlorisna površina presega 160 kvadratnih metrov na enega lastnika.

Posamezni dražitelj ter zakonski ali zunajzakonski par bo lahko kupil največ eno izmed parcel, je med drugim navedeno v pogojih dražbe.

Najemna stanovanja za mlade

Na preostalih osmih parcelah od skupno 30 v istem naselju pa občina načrtuje, da bo predvidoma ali z nepovratnimi državnimi oziroma evropskimi sredstvi ali v javno-zasebnem partnerstvu zgradila osem dvostanovanjskih objektov, ki jih bo v ugoden najem za določen čas ponudila mladim oziroma mladim družinam.

To bo tretja občinska dražba večjega števila parcel za individualno stanovanjsko gradnjo v zadnjih 15 letih v občini. Tako je pri postavljanju pogojev tokratne dražbe parcel občina izhajala tudi iz preteklih izkušenj. Zanimanja za nakup parcel v naselju Čečovje jug, v ozadju katerega je Uršlja gora, je po županovih besedah kar nekaj.

E-novice · Novice

Prijavite se na e-novice in ostanite na tekočem z najpomembnejšimi dogodki doma in po svetu.

Hvala za prijavo!

Na vaš e-naslov smo poslali sporočilo s potrditveno povezavo.


© 2026 SVET24, informativne vsebine d.o.o.

Vse pravice pridržane.